Türkgün | Dünya | Kırmızı alarm: Okullar tatil, uçuşlar iptal!

Kırmızı alarm: Okullar tatil, uçuşlar iptal!

Çin, son 5 yılın en güçlü tayfunu olması beklenen Lekima için ‘kırmızı alarm’ uyarısı verdi. Okulların tatil edildiği Tayvan’da 300 uçuş iptal edilirken, 40 bin konutta elektrik kesintisi yaşandı.

Çin, son 5 yılın en güçlü tayfunu olması beklenen Lekima için ‘kırmızı alarm’ uyarısı verdi. Okulların tatil edildiği Tayvan’da 300 uçuş iptal edilirken, 40 bin konutta elektrik kesintisi yaşandı.

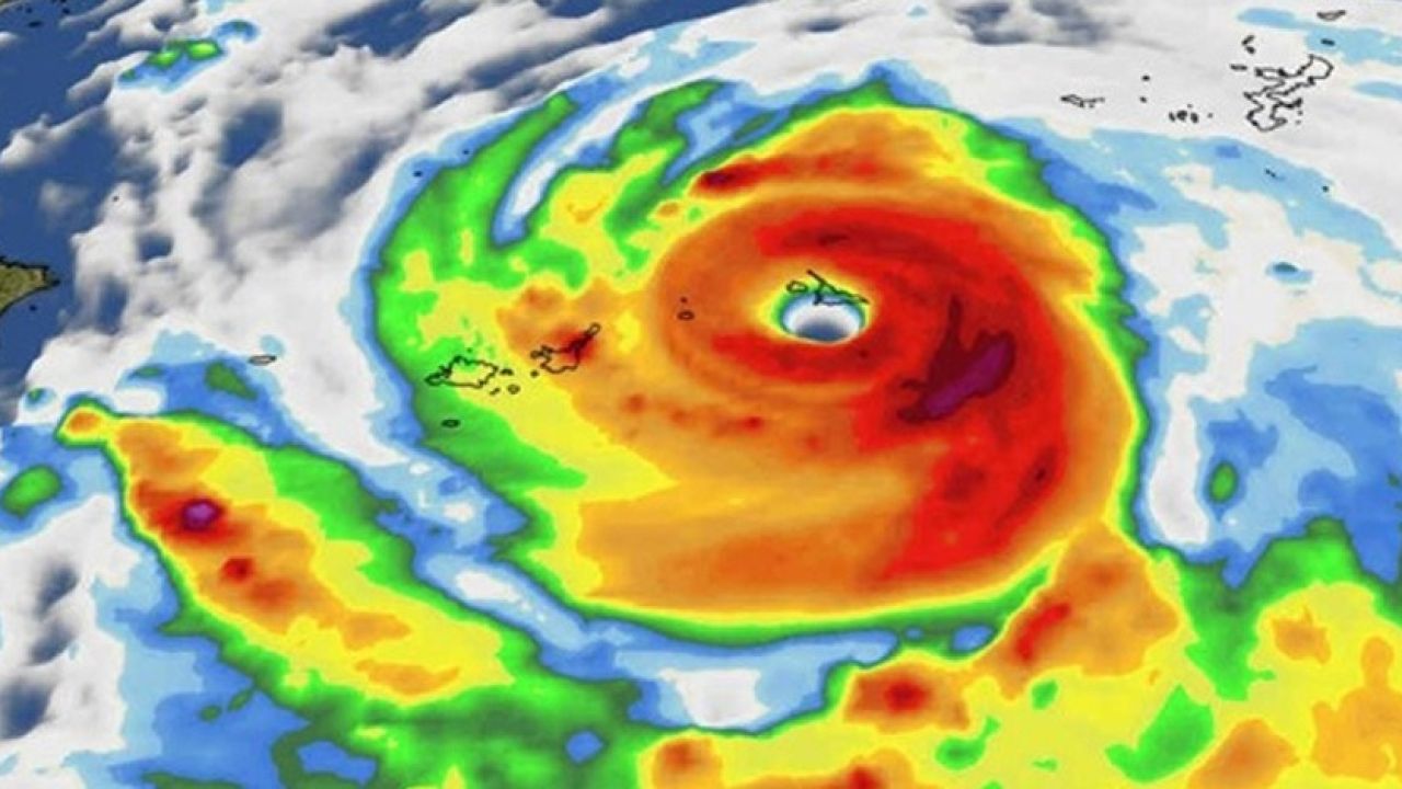
Çin, şimdiden 300 uçuşun iptal edilmesi ve Tayvan Adası’nda 40 binden fazla konutun elektriksiz kalmasına neden olan yaklaşmaktaki süper tayfun Lekima için ‘kırmızı alarm’ uyarısı verdi. Uydu görüntülerini inceleyen yetkililer, Lekima için son 5 yılın en güçlü tayfunu olacağını söylüyor.

Ülkede hayat durdu
Çin’in hava bürosu tarafından doğu kıyılarındaki Zhejiang eyaletine yaklaşan Süper Tayfun Lekima için kırmızı alarm verildikten sonra Tayvan’da çok sayıda uçuş iptal edilirken, marketler ve diğer birçok işletme kepenk kapattı.

Çin’in Ulusal Meteoroloji Merkezi (CMA), 2014 yılından günümüze kadar görülen en şiddetli tayfunun yaklaştığını ve yarın anakaraya ulaştıktan sonra kuzeye yöneleceğini açıkladı. CMA, Çin’in finans merkezi olan 26 milyon nüfuslu Şangay’ın Yangtze Nehri yatağındaki bölgeleri için fırtına uyarısı yaptı.

Tayvan’da okullar ve iş yerleri kapatıldı
Fırtına uyarısının ardından Tayvan’da, tayfunun adayı vurmasından önce okullar tatil edilip iş yerlerine afet atlatılana kadar kapatma emri gönderilirken adada 40 binden fazla konutun elektriği kesildi. Şangay'dan bazı trenler hafta sonları bilet satışları ile hızlı tren hattı seferlerinin büyük bir kısmı da askıya alındı. Tayvan'da, 300'den fazla uçuş iptal edilirken yolcu gemilerinin Şangay'a varışlarını ertelemeleri istendi.

Tayvan makamları, tayfun yaklaşmadan saatlerce önce, kuzeydoğu kıyılarında dün gerçekleşen 6 büyüklüğündeki depremin ardından toprak kayması uyarısı yapmıştı. Tayfunun, adanın kuzey dağlarında yağışı 90 santime kadar çıkaracağı tahmin ediliyor.

Binlerce kişi tahliye edilecek
Bugün ülke sınırlarına ulaşacağı tahmin edilen Leika Tayfunu ile gelecek şiddetli yağış ve 10 seviyesindeki fırtınaların Pazar gününe kadar Şangay’ı etki altına alacağı öngörülüyor. Bölgedeki 16 bin kişinin, güvenlik gerekçeleriyle evlerinden tahliye edileceği konuşuluyor.

Çin Su Kaynakları Bakanlığı, Yangtze ve Sarı nehirlerinin doğusu aşağı kısımlarında Çarşamba gününe kadar sel riski uyarısında bulundu.

Sıcak yaz aylarında Çin’de sıklıkla tayfun yaşanıyor. Hava durumu yetkilileri, geçen hafta yaptıkları açıklamada bu yıl tayfunların diğer yıllara kıyasla daha seyrek meydana geldiğini söylemişti. Guangdong eyaletinde yaşayan 2 milyon 400 binden fazla kişi, Eylül ayında ülkeyi vuran Mangkhut Tayfunu nedeniyle tahliye edilmişti.

Yorumlar
Yorumlar yükleniyor...
Daha fazla yorum yükle...