Türkgün | Galeriler | Gündem | ABD'de kasırga! Florida'da 2,5 milyon kişiye tahliye emri verildi: Kabus devam ediyor!

ABD'de kasırga! Florida'da 2,5 milyon kişiye tahliye emri verildi: Kabus devam ediyor!

ABD'de kasırga! Florida'da 2,5 milyon kişiye tahliye emri verildi: Kabus devam ediyor! 1
ABD'nin Florida eyaletinin Meksika Körfezine kıyısı olan bölgelerinde yaşayan 2,5 milyon kişiye Ian Kasırgası nedeniyle tahliye emri verilirken, otoyollarda kilometrelerce uzayan kuyruklar oluştu.
1 / 12
ABD'de kasırga! Florida'da 2,5 milyon kişiye tahliye emri verildi: Kabus devam ediyor! 2
Bugün, Tampa bölgesinin güney kesimlerini vurması beklenen kasırga dolayısıyla olağanüstü hal ilan edilen bazı bölgelerdeki 2,5 milyon kişi, eyaletin doğu ve kuzey bölgelerine doğru harekete geçince otoyollarda trafik felç oldu, hava yolu şirketlerinin biletleri yok sattı.
2 / 12
ABD'de kasırga! Florida'da 2,5 milyon kişiye tahliye emri verildi: Kabus devam ediyor! 3
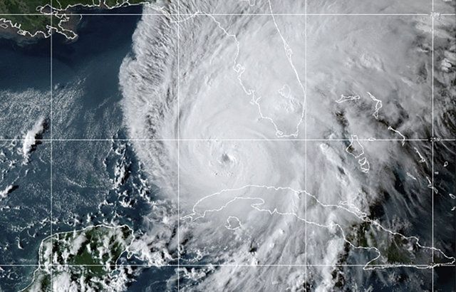
Meksika Körfezi'nde yaklaşık 800 kilometre genişliğinde bir alanda etkili olan ve saatte 200 kilometreye yakın hızla ABD anakarasına ulaşması beklenen kasırga öncesi bölge halkı son hazırlıklarını tamamladı.
3 / 12
ABD'de kasırga! Florida'da 2,5 milyon kişiye tahliye emri verildi: Kabus devam ediyor! 4
Federal Afet ve Acil Durum Yönetim Ajansı (FEMA) yetkililerinin uyarısı üzerine Florida sakinleri marketlere akın ederek içecek ve gıda depoladı. Dev mağazaların gıda bölümündeki rafların çoğunun boşaldığı görüldü.
4 / 12
ABD'de kasırga! Florida'da 2,5 milyon kişiye tahliye emri verildi: Kabus devam ediyor! 5
Ev ve iş yerlerini şiddetli rüzgar ve yağmurdan korumak isteyenlerin ise yapı marketlerden ahşap ve metal levhalar başta olmak üzere, pil, jeneratör ile keski aletleri gibi malzemeleri tedarik etmeye çalıştığı gözlendi.
5 / 12
ABD'de kasırga! Florida'da 2,5 milyon kişiye tahliye emri verildi: Kabus devam ediyor! 6
Bazı mağaza sahipleri, iç bölümdeki ürünlerinin üzerlerini bile brandalarla örterken bazı bölge sakinleri kapı önlerini kum torbalarıyla destekledi.
6 / 12
ABD'de kasırga! Florida'da 2,5 milyon kişiye tahliye emri verildi: Kabus devam ediyor! 7
FEMA Florida Direktörü Kevin Guthrie, düzenlediği basın toplantısında, tahliye emri verilen 2,5 milyonluk bölge sakinine, kasırganın yönünün kuzeye doğru olduğunu, dolayısıyla kuzey yerine doğu ve güney bölgelerine doğru hareket etmelerinin daha doğru olacağını söyledi.
7 / 12
ABD'de kasırga! Florida'da 2,5 milyon kişiye tahliye emri verildi: Kabus devam ediyor! 8
Guthrie, özellikle Miami-Dade ve Palm Beach bölgelerinin daha güvenli olacağını kaydetti.
8 / 12
ABD'de kasırga! Florida'da 2,5 milyon kişiye tahliye emri verildi: Kabus devam ediyor! 9
Ulusal Kasırga Merkezinin yaptığı bilgilendirmede ise Sarratoga sahillerindeki dalgaların şimdiden kabardığı, kasırganın getireceği yağmurla 120 santimetreden fazla yağış beklendiği vurgulandı.
9 / 12
ABD'de kasırga! Florida'da 2,5 milyon kişiye tahliye emri verildi: Kabus devam ediyor! 10
FEMA yetkilileri, kasırganın etkisini asgari seviyede tutabilmek adına, bölge halkına yardım için tüm sosyal medya hesaplarından bilgilendirme hizmetini aralıksız sürdürüyor.
10 / 12
ABD'de kasırga! Florida'da 2,5 milyon kişiye tahliye emri verildi: Kabus devam ediyor! 11
*Haberin görselleri Associated Press tarafından servis edilmiştir.
11 / 12
ABD'de kasırga! Florida'da 2,5 milyon kişiye tahliye emri verildi: Kabus devam ediyor! 12
12 / 12
Yorumlar
Yorumlar yükleniyor...
Daha fazla yorum yükle...