Giderek etkisi daha çok hissedilen iklim değişikliğinin sonuçları dünya çapında görülmeye başlandı. IDCM tarafından yayımlanan raporda sadece 2018 yılında 17.2 milyon insan göç ederken, 2008-2018 yılları arasında ise bu sayı 265 milyonu buldu.
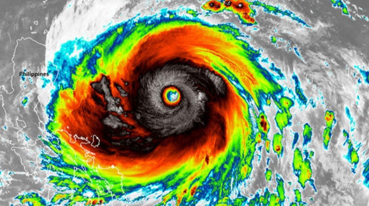
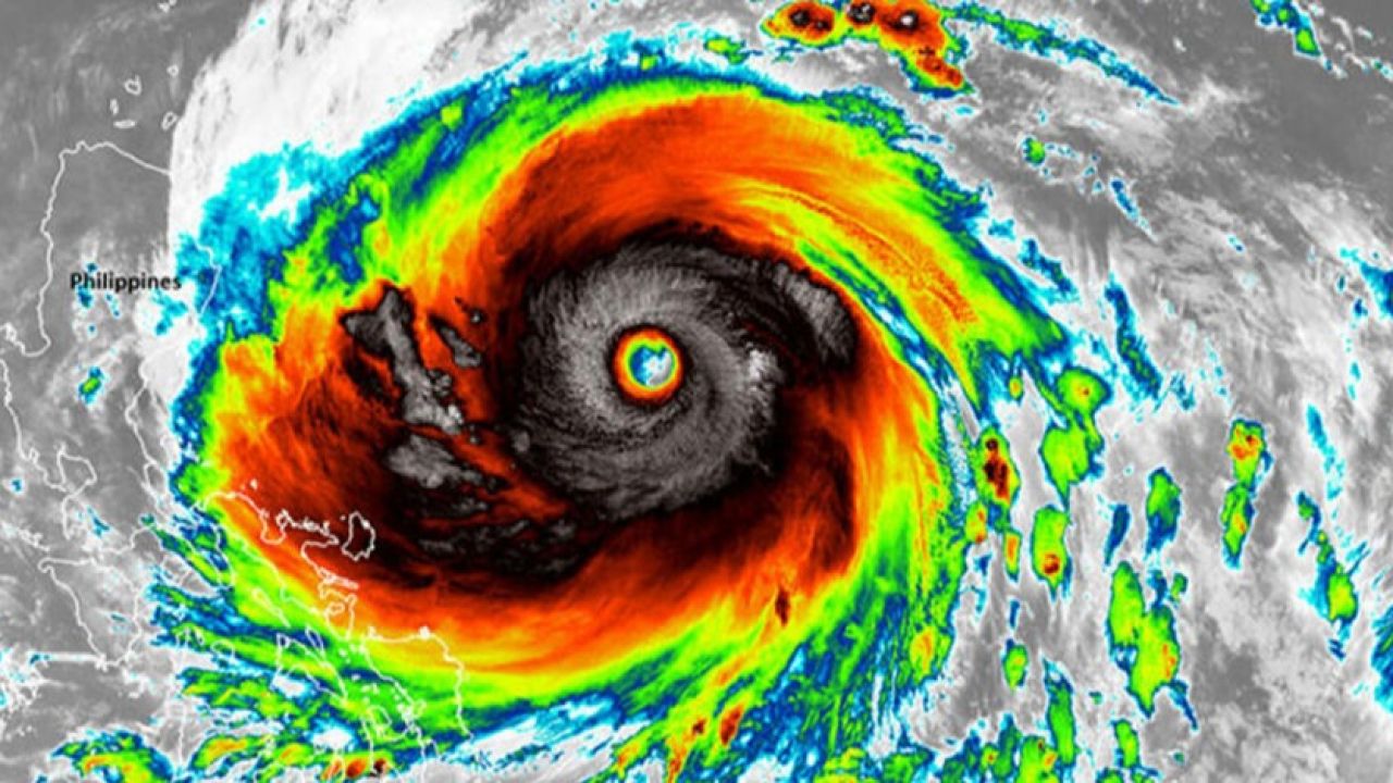
Birleşmiş Milletler Kalkınma Programı (UNDP) tarafından 2017 yılında yayımlanan raporda ise 2016 yılında gerçekleşen en büyük 10 göç hareketliliği iklim sebebiyle oldu. Bu göçlerden en çok etkilenen bölgeler Filipinler, Çin ve Hindistan oldu. Hindistan’da 1 milyon 670 bin kişi Bihar Selleri, Çin’de yaklaşık 4 milyon kişi Typhoon Haima tropik siklonu ve nehir taşkınları, Filipinler’de ise yaklaşık 4 milyon insan dönemsel yoğun yağış ve toprak kaymaları sonucunda göç etti.

200 MİLYON İNSAN GÖÇ EDECEK
UNDP raporuna göre iklim değişikliği sebebiyle çok büyük kitlesel nüfus hareketleri gerçekleşecek. 2050 yılında deniz seviyesinin yükselmesi, kuraklık, sel ve taşkınlar gibi sebeplerden 200 milyon insan yaşadıkları yerleri terk ederek göç etmek zorunda kalacak.
IDCM tarafından yayımlanan raporlarda Türkiye de yer alıyor. Diğer bölgelere oranla Türkiye’de iklim ve afet sebebiyle göç oranı daha düşük olsa da, son 10 yılda bu sebeplerden 275 bin 313 kişi göç etti.
SERA GAZI KULLANIMI
Yapılan araştırmalar ve raporlar sonucunda ortaya çıkan bu kötü senaryolara çözüm olarak ise, sera gazı emisyonlarının ve fosil yakıt kullanımının doğru bir kalkınma planıyla önlenebileceği ön görülüyor. Küresel çalışmalar ve kalkınma planlarıyla iklim göçünden etkilenecek insan sayısı 80 veya 100 milyona düşeceği tahmin ediliyor.

TÜRKİYE ORTA DERECELİ RİSK GRUBUNDA
İstanbul Aydın Üniversitesi (İAÜ) Afet Eğitimi Uygulama ve Araştırma Merkezi (AFAM) koordinatörü Serhat Yılmaz, küresel iklim değişikliği sebebiyle ilerleyen yıllarda çok büyük nüfus hareketliliğinin olacağını vurguladı.
Yılmaz, “Sanayi devriminin ardından buharlı makinelerin kullanılmasıyla birlikte yoğun fosil temelli yakıtlara yöneldik. Bu sistematik olarak arttı ve her gün milyonlarca varil yakıt tüketiliyor. Bu yakıtlar karbon salınımı artırıyor. Karbon salınımı arttıkça atmosferdeki ısı dengesinin bozulmasına neden oluyor. Bu bozulma da küresel iklim değişikliğinin temelini oluşturuyor. Paris anlaşmasına baktığımız zaman 2050 yılından sonra temel hedeflerinin küresel ısınmayı 2 santigrat derecenin altında tutmak olduğunu görüyoruz. Çok küçük bir ısı değişikliği ancak etkisinin çok büyük olduğunun artık dünya da farkında.” diye konuştu. Yılmaz, Türkiye’nin orta dereceli risk grubunda olduğunu ve gerekli tedbirler alınmazsa yüksek dereceli risk grubuna girebileceğini ifade etti.
‘İKLİM MÜLTECİLİĞİ’ TANINMIYOR
2008 yılından bu yana elde edilen verilere göre, yıllık ortalama 21,5 milyon kişinin sel, fırtına, kasırga ve aşırı kuraklık gibi hava şartları nedeniyle zorunlu olarak göç ettiği belirlendi. Ancak Birleşmiş Milletler ’in (BM) 1951 Cenevre Konvansiyonu kapsamında yayımlanan ‘Mülteciler Sözleşmesi’ndeki tanıma göre, iklim nedeniyle göç etmek zorunda kalanlar ‘mülteci’ olarak kabul edilmiyor. Her yıl milyonlarca insan iklim sebebiyle ülkelerini terk ederek başka ülkelerin korumasını talep ediyor. Bazı devletlerin yasalarında iklim mültecilerine ‘tamamlayıcı koruma’ veya ‘geçici koruma’ sağlanabiliyor.